Vendita
IMMOBILE A REDDITO – OTTIMO INVESTIMENTO – BOVISA / POLITECN
MILANO (MI)
- ZONA Bovisa
€ 305.000
n Via Fra Pantaleo 3, a circa 300 metri dal Passante Ferroviario Bovisa, che consente di raggiungere la stazione di Cadorna in soli 10 minuti, proponiamo in vendita appartamento completamente arredato.
L'immobile è inserito in una piccola palazzina di sole 4 unità, all'interno di un elegante palazzo d'epoca in stile Liberty.
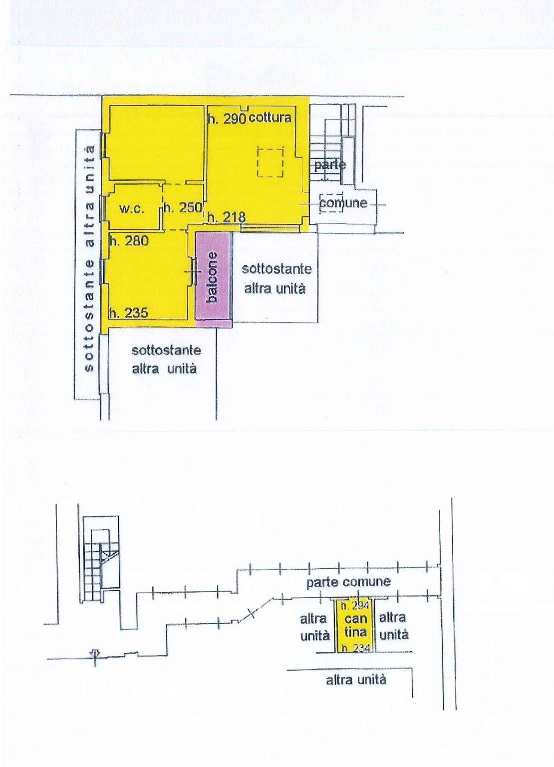
La soluzione è composta da soggiorno con cucina a vista, due camere da letto, bagno e ampio balcone.
Dotazioni: lavastoviglie, lavatrice, aria condizionata, acqua calda centralizzata, acqua calda centralizzata, videocitofono e servizio di portineria.
Completa la proprietà una cantina.
Immobile attualmente locato, con contratto di locazione in essere fino a settembre 2027.
Canone annuo: Eu. 12.000, oltre spese condominiali.
Posizione strategica, particolarmente richiesta per la vicinanza al Politecnico di Milano e agli eccellenti collegamenti con il centro città.
L'immobile è inserito in una piccola palazzina di sole 4 unità, all'interno di un elegante palazzo d'epoca in stile Liberty.
La soluzione è composta da soggiorno con cucina a vista, due camere da letto, bagno e ampio balcone.
Dotazioni: lavastoviglie, lavatrice, aria condizionata, acqua calda centralizzata, acqua calda centralizzata, videocitofono e servizio di portineria.
Completa la proprietà una cantina.
Immobile attualmente locato, con contratto di locazione in essere fino a settembre 2027.
Canone annuo: Eu. 12.000, oltre spese condominiali.
Posizione strategica, particolarmente richiesta per la vicinanza al Politecnico di Milano e agli eccellenti collegamenti con il centro città.
Contratto Vendita
Rif pantaleo-61
Prezzo € 305.000
Provincia Milano
Comune Milano
Zona Bovisa
Indirizzo Via Fra' Giovanni Pantaleo 3">
Vani 3
Camere 2
Bagni 1
Classe energetica
G (DL 192/2005)
EPI 171.47 kwh/m2 anno
Piano 1 / 2
Riscaldamento centralizzato
Condizioni abitabile
Spese condominiali € 300
Anno di costruzione 2007
Arredato si
Cucina a vista
Consistenze
| Descrizione | Superficie | Sup. comm. |
|---|---|---|
| Principali | ||
| Immobile - 1° piano | 61 Mq | 61 Mqc |
| Totale | 61 Mqc | |
















