Vendita
IMMOBILE A REDDITO – OTTIMO INVESTIMENTO – BOVISA / POLITECN
MILANO (MI)
- ZONA Bovisa
€ 505.000
In Via Fra Pantaleo 3, a circa 300 metri dal Passante Ferroviario Bovisa, che collega la stazione di Cadorna in soli 10 minuti, proponiamo in vendita appartamento completamente arredato, ideale come investimento a reddito.
L'immobile è situato in una piccola palazzina di sole 4 unità, all'interno di un elegante palazzo d'epoca in stile Liberty.
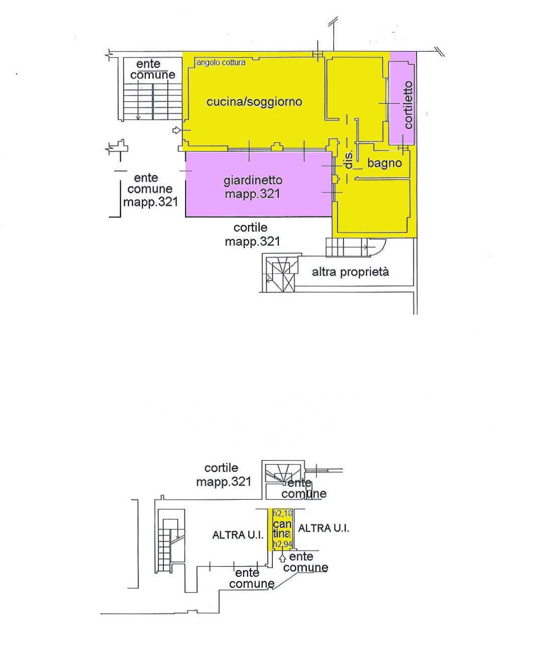
La soluzione è composta da soggiorno con cucina a vista e accesso al giardinetto privato, due camere da letto e bagno.
Dotazioni: lavastoviglie, lavatrice, aria condizionata, acqua calda centralizzata, videocitofono e servizio di portineria.
Completa la proprietà una cantina.
Immobile attualmente locato con contratto in essere fino a settembre 2026.
Canone annuo: Eu. 13.400, oltre spese condominiali.
Posizione strategica per la vicinanza al Politecnico di Milano e agli eccellenti collegamenti con il centro città.
L'immobile è situato in una piccola palazzina di sole 4 unità, all'interno di un elegante palazzo d'epoca in stile Liberty.
La soluzione è composta da soggiorno con cucina a vista e accesso al giardinetto privato, due camere da letto e bagno.
Dotazioni: lavastoviglie, lavatrice, aria condizionata, acqua calda centralizzata, videocitofono e servizio di portineria.
Completa la proprietà una cantina.
Immobile attualmente locato con contratto in essere fino a settembre 2026.
Canone annuo: Eu. 13.400, oltre spese condominiali.
Posizione strategica per la vicinanza al Politecnico di Milano e agli eccellenti collegamenti con il centro città.
Contratto Vendita
Rif pantaleo-101
Prezzo € 505.000
Provincia Milano
Comune Milano
Zona Bovisa
Indirizzo Via Fra' Giovanni Pantaleo 3">
Vani 3
Camere 2
Bagni 1
Classe energetica
G (DL 192/2005)
EPI 162.11 kwh/m2 anno
Riscaldamento centralizzato
Condizioni ottime condizioni
Spese condominiali € 300
Anno di costruzione 2007
Arredato si
Cucina abitabile
Consistenze
| Descrizione | Superficie | Sup. comm. |
|---|---|---|
| Principali | ||
| Immobile - piano terra | 101 Mq | 101 Mqc |
| Totale | 101 Mqc | |











